← South Gloucestershire Council

Status

Awaiting decision New housing
Received
09 May 2025
New homes
1

Summary

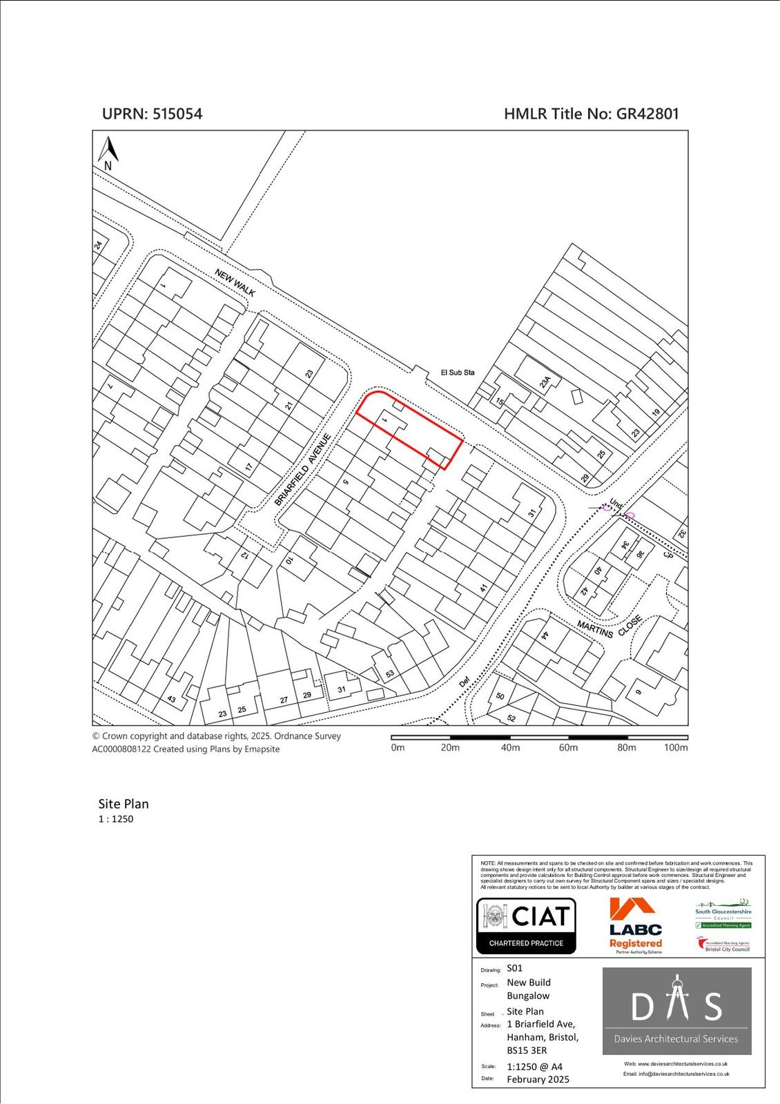
Demolition of existing garage and erection of one new dwelling with associated works.

Full proposal

Demolition of existing garage. Erection of 1 no. new dwelling with associated works.

Documents

AMENDED PROPOSED AND DRAINAGE PLAN
Revised Plan
Not yet archived · Original link
AMENDED PROPOSED BLOCK PLAN
Revised Plan
Not yet archived · Original link
AMENDED PROPOSED DRAINAGE AND BLOCK PLAN
Revised Plan
Not yet archived · Original link
Revised Plan
Archived · Original link
APPLICATION FORM - WITHOUT PERSONAL DATA
Application Form
Not yet archived · Original link
ARBORICULTURAL REPORT
Supporting Document
Not yet archived · Original link
BIODIVERSITY EXEMPTION FORM
Supporting Document
Not yet archived · Original link
CMRA
Supporting Document
Not yet archived · Original link
CONTAMINATED LAND
Consultee Comment
Not yet archived · Original link
DESIGN AND ACCESS STATEMENT
Supporting Document
Not yet archived · Original link
EXISTING 3D VIEWS
Supporting Document
Not yet archived · Original link
EXISTING BLOCK PLAN (1:50)
Plan
Not yet archived · Original link
EXISTING SITE ELEVATIONS AND SECTION
Plan
Not yet archived · Original link
HANHAM PARISH COUNCIL-NEUTRAL
Public Comment
Not yet archived · Original link
HIGHWAY STRUCTURES
Consultee Comment
Not yet archived · Original link
MR DAVID MINALL-OBJECTS
Public Comment
Not yet archived · Original link
MR SIMON EVERSON-OBJECTS
Public Comment
Not yet archived · Original link
MRS EILEEN EVERSON-OBJECTS
Public Comment
Not yet archived · Original link
MRS RUTH RAWLE-OBJECTS
Public Comment
Not yet archived · Original link
PRELIMINARY ECOLOGICAL APPRAISAL
Plan
Not yet archived · Original link
PROPOSED 3D VIEWS
Plan
Not yet archived · Original link
PROPOSED BIN & CYCLE STORE DETAILS
Supporting Document
Not yet archived · Original link
PROPOSED FLOOR PLAN & ELEVATIONS
Plan
Not yet archived · Original link
PROPOSED SITE LOCATION PLAN
Plan
Not yet archived · Original link
PROPOSED STREET SCENES
Plan
Not yet archived · Original link
RAIN GARDEN GUIDE
Supporting Document
Not yet archived · Original link
SGC ARCHAEOLOGY ASSISTANT
Consultee Comment
Not yet archived · Original link
SGC DRAINAGE OFFICER
Consultee Comment
Not yet archived · Original link
SGC TREE OFFICER
Consultee Comment
Not yet archived · Original link
SUPERSEDED PROPOSED BLOCK PLAN (1:100)
Superseded Plan
Not yet archived · Original link
SUPERSEDED PROPOSED DRAINAGE AND BLOCK PLAN
Superseded Plan
Not yet archived · Original link
SUSTAINABLE TRANSPORT - TRANSPORTATION DC
Consultee Comment
Not yet archived · Original link
THE COAL AUTHORITY
Consultee Comment
Not yet archived · Original link
THE ECOLOGY OFFICER NATURAL & BUILT ENVIRONMENT TEAM
Consultee Comment
Not yet archived · Original link

Have your say

Your comment matters. Councils must consider every representation that raises material planning considerations.

Write a comment