← Back to South Gloucestershire Council

Status

Awaiting decision
Received 27 Aug 2025
New dwellings n/a

What you can do

Take Action

Make your voice heard. Authorities need to hear from people who support new homes.

Full Proposal

Erection of 1 no. new self-build dwelling with associated works.

Detail pages

Documents

3D DIAGRAM
Drawing
Not downloaded · Council link
Application Form
Application Form
Not downloaded · Council link
BAKERS HOUSE LISTING
Supporting Document
Not downloaded · Council link
CIL ADDITIONAL INFORMATION FORM
Application Form
Not downloaded · Council link
CONTAMINATED LAND
Consultee Comment
Not downloaded · Council link
DESIGN AND ACCESS STATEMENT
Supporting Document
Not downloaded · Council link
ECOLOGY
Consultee Comment
Not downloaded · Council link
EXISTING BLOCK PLAN
Plan
Not downloaded · Council link
EXISTING SITE PLAN
Plan
Archived copy · Council link
FORM 7: SELF BUILD EXEMPTION CLAIM FORM
Application Form
Not downloaded · Council link
HAWKESBURY PARISH COUNCIL
Consultee Comment
Not downloaded · Council link
LANDSCAPE
Consultee Comment
Not downloaded · Council link
MR SAM BATTEN
Consultee Comment
Not downloaded · Council link
MRS K HAYES SGC PUBLIC RIGHTS OF WAY OFFICER
Consultee Comment
Not downloaded · Council link
PLANNING STATEMENT
Supporting Document
Not downloaded · Council link
PRELIMINARY ECOLOGICAL APPRAISAL
Supporting Document
Not downloaded · Council link
PROPOSED BLOCK PLAN
Plan
Not downloaded · Council link
PROPOSED FLOOR AND ELEVATION PLANS
Plan
Not downloaded · Council link
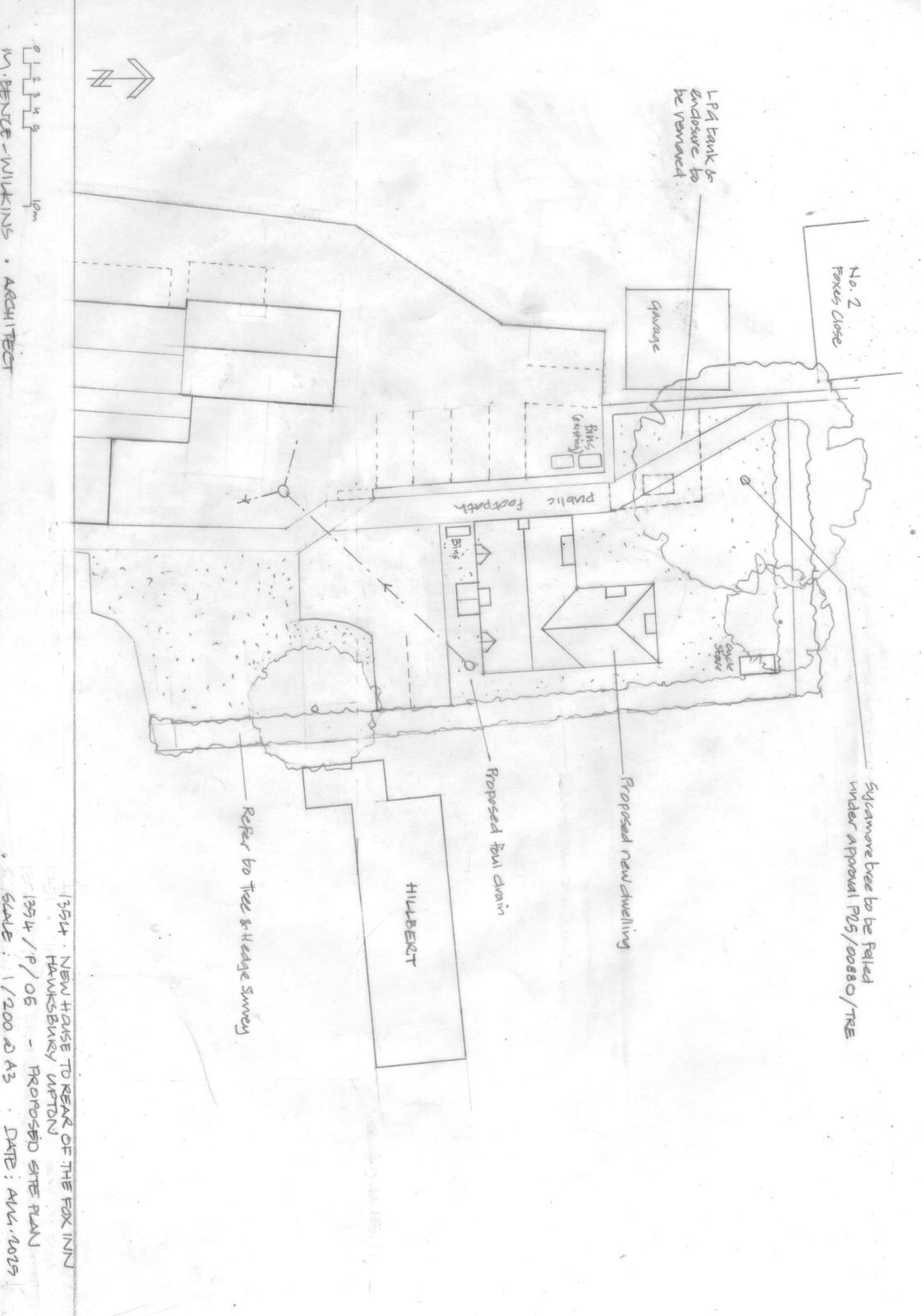
PROPOSED SITE PLAN
Plan
Archived copy · Council link
SGC ARCHAEOLOGY ASSISTANT
Consultee Comment
Not downloaded · Council link
SGC CONSERVATION OFFICER
Consultee Comment
Not downloaded · Council link
SGC DRAINAGE OFFICER
Consultee Comment
Not downloaded · Council link
SGC TREE OFFICER-LB
Consultee Comment
Not downloaded · Council link
SITE LOCATION PLAN
Plan
Archived copy · Council link
SITE PHOTOGRAPH - 1
Photo
Not downloaded · Council link
SITE PHOTOGRAPH - 10
Photo
Not downloaded · Council link
SITE PHOTOGRAPH - 2
Photo
Not downloaded · Council link
SITE PHOTOGRAPH - 3
Photo
Not downloaded · Council link
SITE PHOTOGRAPH - 4
Photo
Not downloaded · Council link
SITE PHOTOGRAPH - 5
Photo
Not downloaded · Council link
SITE PHOTOGRAPH - 6
Photo
Not downloaded · Council link
SITE PHOTOGRAPH - 7
Photo
Not downloaded · Council link
SITE PHOTOGRAPH - 8
Photo
Not downloaded · Council link
SITE PHOTOGRAPH - 9
Photo
Not downloaded · Council link
STATEMENT OF SIGNIFICANCE
Supporting Document
Not downloaded · Council link
TELEPHONE KIOSK LISTING
Supporting Document
Not downloaded · Council link
TOPOGRAPHIC SURVEY
Plan
Not downloaded · Council link
TRANSPORTATION DEVELOPMENT CONTROL
Consultee Comment
Not downloaded · Council link
TREE REPORT
Supporting Document
Not downloaded · Council link