← Back to South Ribble Borough Council
Application
07/2024/00943/FUL
South Ribble Borough Council · IDOX
Status
Unknown
Change of use
Received
18 Dec 2024
New dwellings
0
What you can do
Take Action
Make your voice heard. Authorities need to hear from people who support new homes.
Summary
Change of use to a C2 care home for up to three young adults with 24-hour care.
Full Proposal
Change of use of dwellinghouse (C3 Use) to Teenagers - Young Adults Care Home accommodating up to 3 Teenagers - Young Adults age range 14 to 25 (C2 Use Class) with care provided 24 hours a day up to three carers on a shift basis.
Detail pages
- View live detail on council site
- No archived detail page available.
Documents
APPLICATION FORM REDACTED
Planning File
Not downloaded
· Council link
CHILDREN'S HEALTH RESPONSE
Consultee Response
Not downloaded
· Council link
CIL RESPONSE
Consultee Comment
Not downloaded
· Council link
COVERING LETTER
Planning File
Not downloaded
· Council link
Decision Notice
Decision Notice
Not downloaded
· Council link
ENVIRONMENTAL HEALTH
Consultee Response
Not downloaded
· Council link
FLOOR PLAN
Planning File
Not downloaded
· Council link
HIGHWAYS RESPONSE
Consultee Response
Not downloaded
· Council link
LCC CHILDREN'S HOME MARKET POSITION STATEMENT
Consultee Response
Not downloaded
· Council link
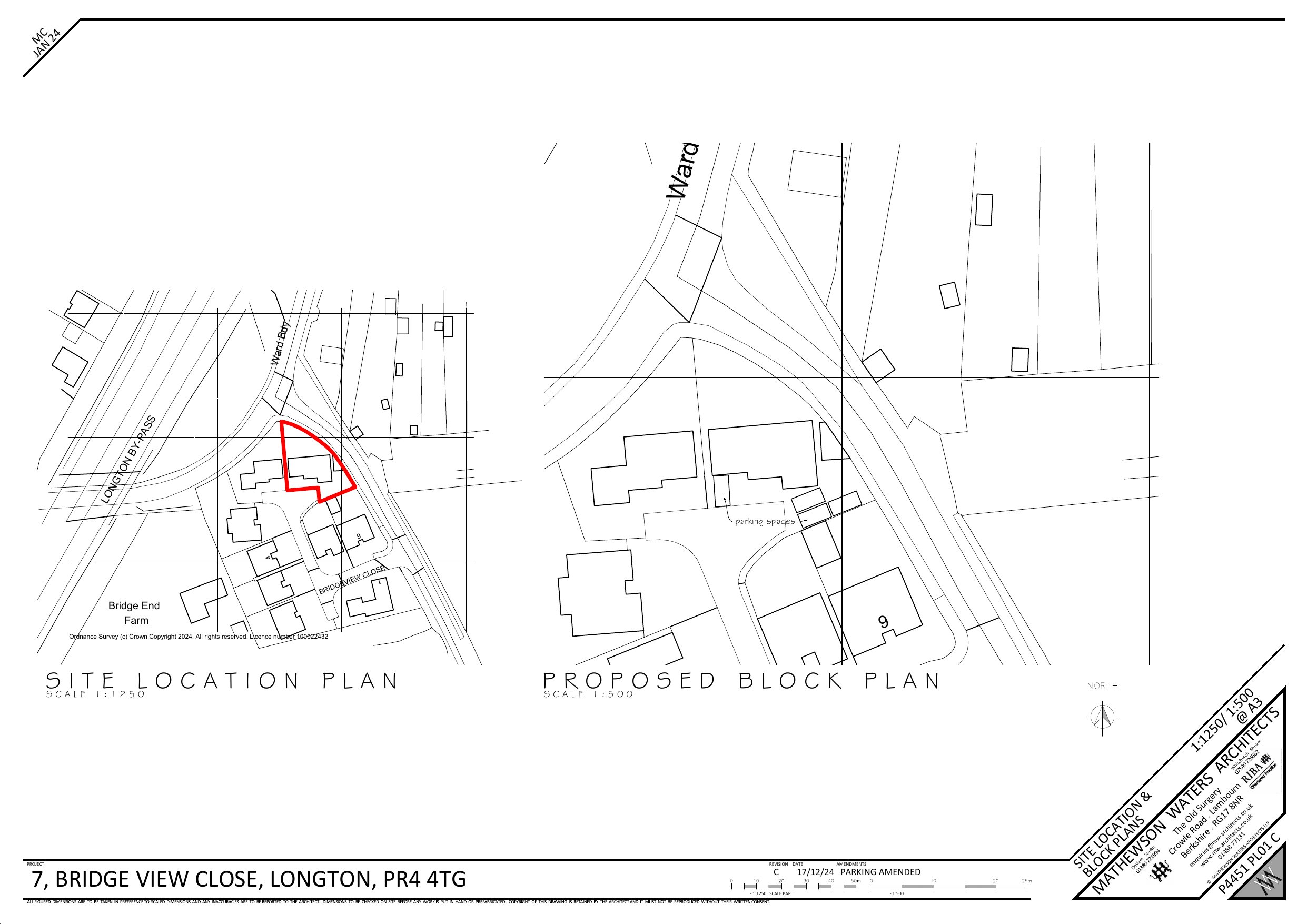
LOCATION PLAN AND BLOCK PLAN
Planning File
Not downloaded
· Council link
NOISE ASSESSMENT
Planning File
Not downloaded
· Council link
TRANSPORT NOTE
Planning File
Not downloaded
· Council link