← South Ribble Borough Council

Status

Unknown House extension
Received
09 Jan 2025
New homes
0

Full proposal

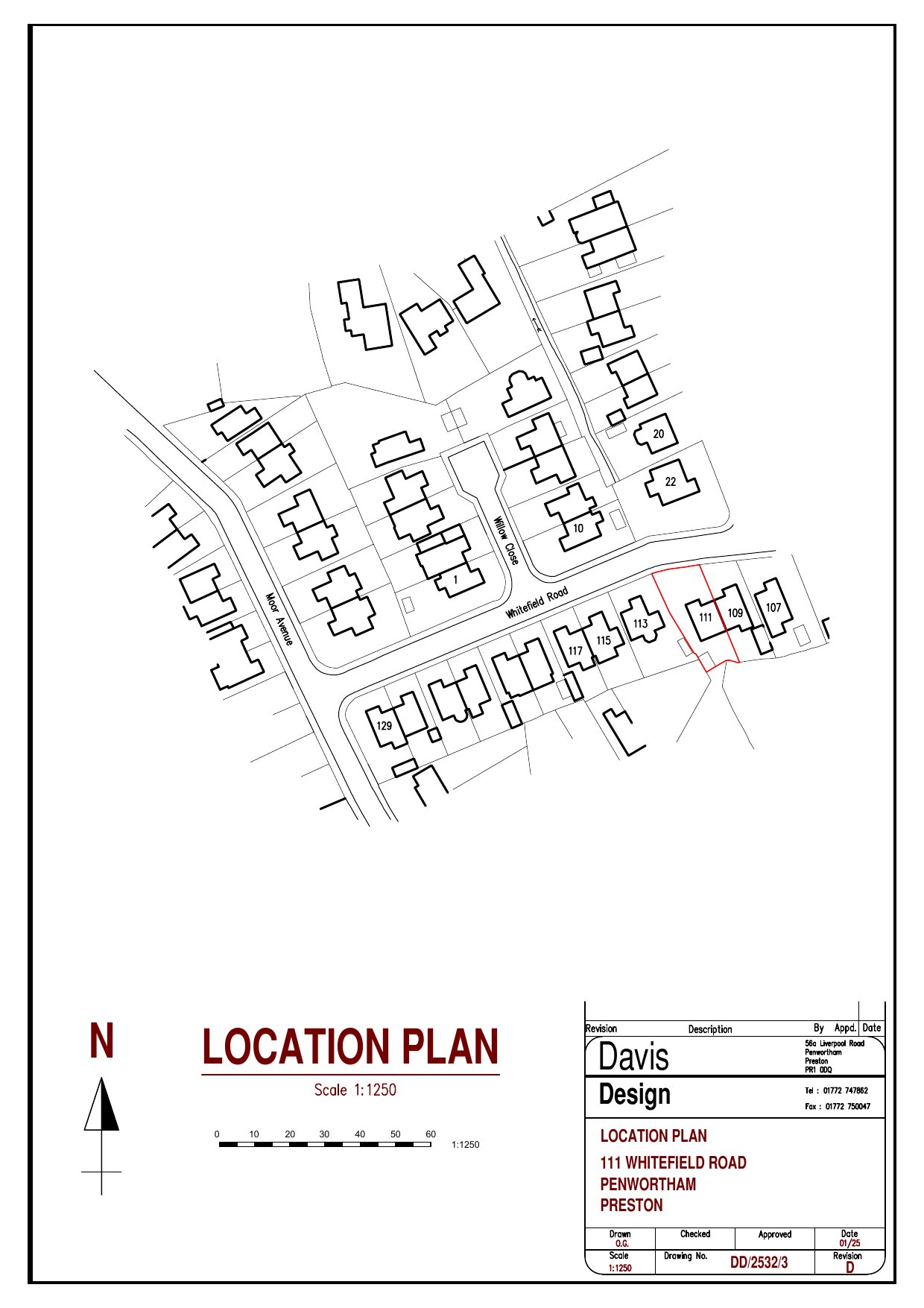
Existing dormer to front elevation flat roof to pitched. Proposed front and rear dormers. (Retrospective) Dwelling to be rendered, dormers to be constructed from cladding. (AMENDED DESCRIPTION)

Documents

Planning File
Archived · Original link
Decision
Archived · Original link
Consultee Response
Archived · Original link
Delegated Report
Archived · Original link
Consultee Response
Archived · Original link
Planning File
Archived · Original link
Planning File
Archived · Original link
Planning File
Archived · Original link

Have your say

Your comment matters. Councils must consider every representation that raises material planning considerations.

Write a comment