← South Ribble Borough Council

Status

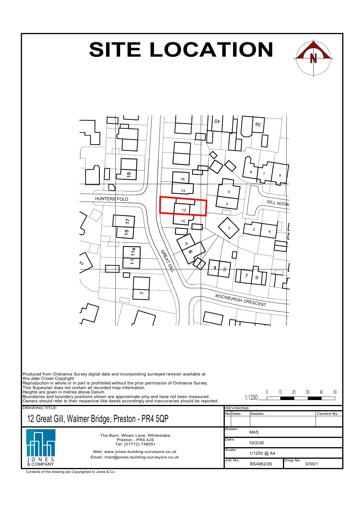
Unknown House extension
Received
Last month
New homes
0

Full proposal

Construction of dormer to front roof slope / west elevation

Documents

Planning File
Archived · Original link
Planning File
Archived · Original link
Consultee Response
Archived · Original link
Planning File
Archived · Original link
Planning File
Archived · Original link

Have your say

Your comment matters. Councils must consider every representation that raises material planning considerations.

Write a comment