← Stockport Metropolitan Borough Council
DC/095163
Stockport Metropolitan Borough Council
Status
Registered
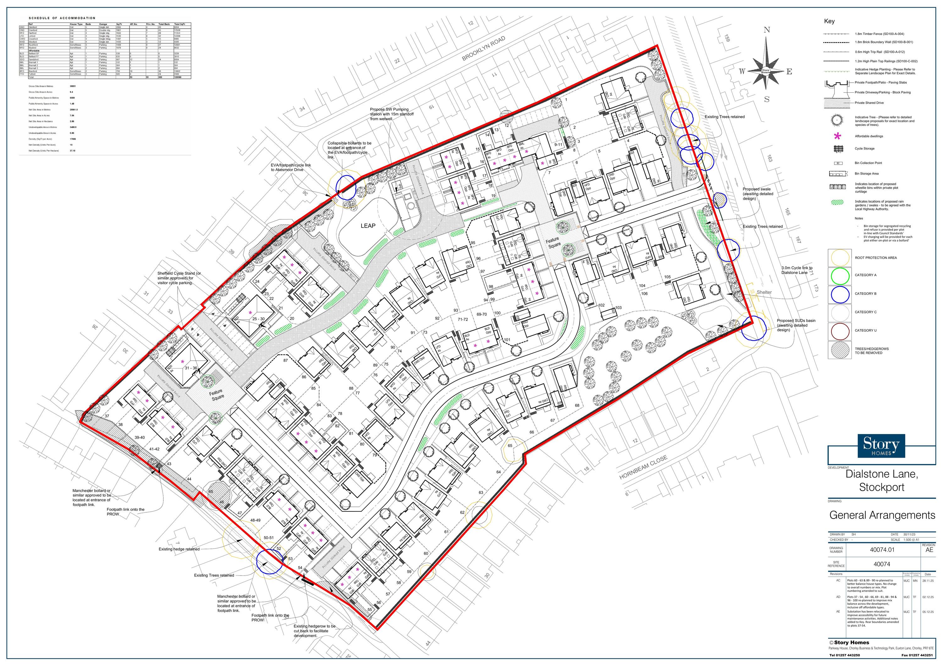
New housing
Received
05 Mar 2025
New homes
106
Full proposal
Full planning application proposing the demolition of existing buildings and structures and the erection of a residential development including 106 dwellings (Use Class C3(a)), with associated infrastructure, including landscaping, drainage, car and cycle parking, access from Dialstone Lane, and other associated works.
Documents
Have your say
Your comment matters. Councils must consider every representation that raises material planning considerations.