← Stockport Metropolitan Borough Council

Status

Registered New housing
Received
Last month
New homes
0

Full proposal

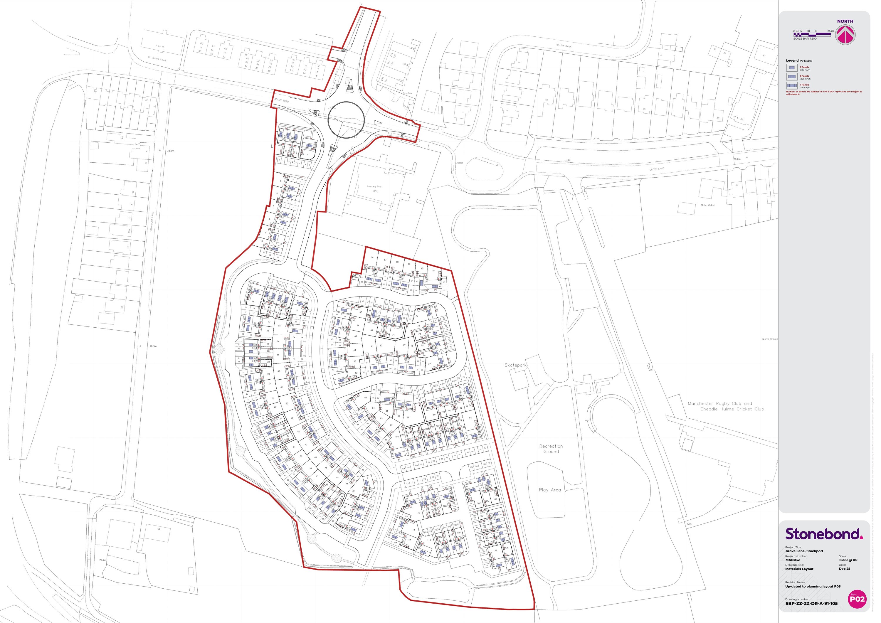
Demolition of existing on-site buildings and structures and the erection of an affordable housing development together with public spaces, landscaping, sustainable drainage features, cycleways and pedestrian footways (including connections to South Park public park), vehicular accesses and highways (including the construction of a realigned, enlarged roundabout on Grove Lane), parking provision and other associated works.

Documents

1250 Plan
Archived · Original link
Plan
Archived · Original link
ApplicationNoPersonalData
Archived · Original link
Plan
Archived · Original link
Report
Archived · Original link
Report
Archived · Original link
Report
Archived · Original link
Statement
Archived · Original link
Report
Archived · Original link
Report
Archived · Original link
Consultee Comment
Archived · Original link
Consultee Comment
Archived · Original link
Plan
Archived · Original link
Plan
Archived · Original link
Plan
Archived · Original link
Consultee Comment
Archived · Original link
Plan
Archived · Original link
Plan
Archived · Original link

Have your say

Your comment matters. Councils must consider every representation that raises material planning considerations.

Write a comment