← Stroud District Council

Status

Awaiting decision Demolition
Received
Last month
New homes
1

Full proposal

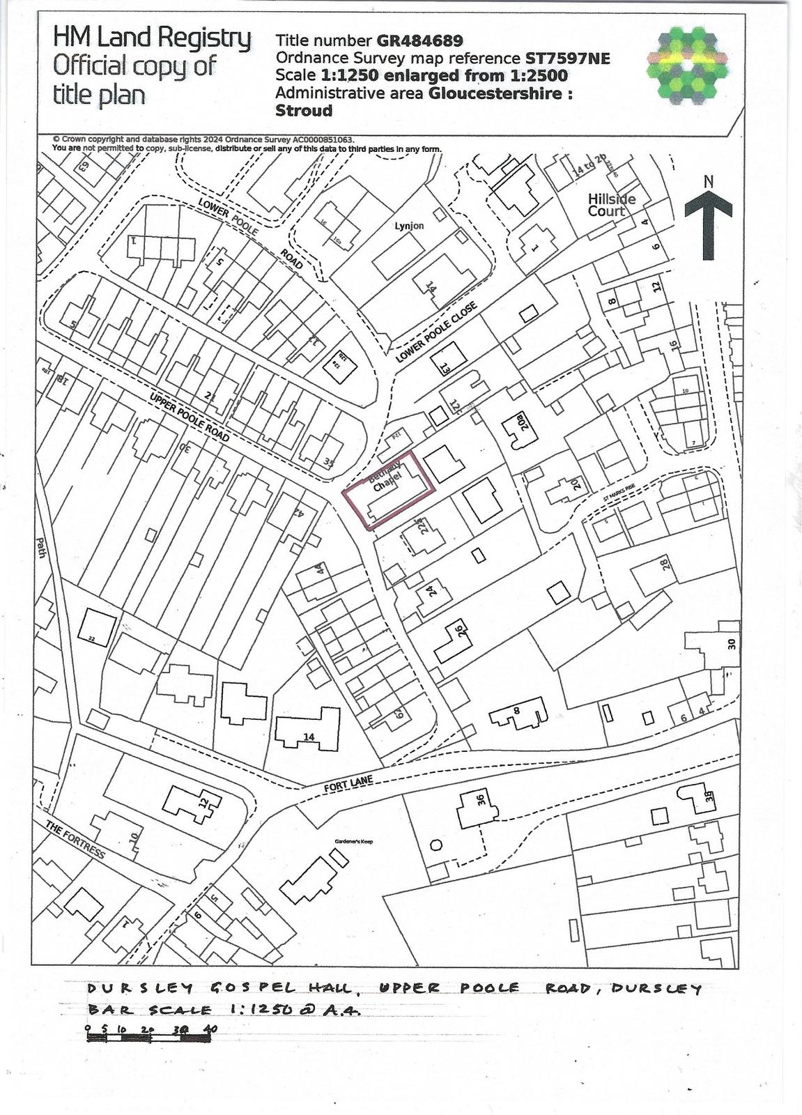
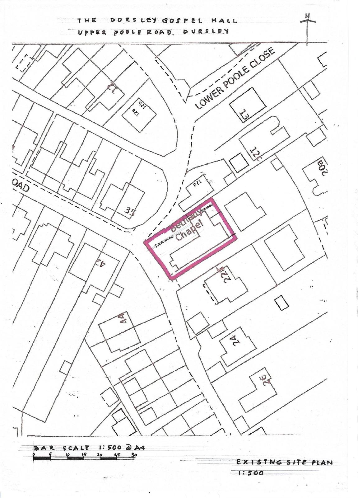
Demolition of Chapel (Use Class F1) and erection of a single dwelling (Use Class C3).

Documents

Design and Access Statement
Archived · Original link
Drawing
Archived · Original link
Drawing
Archived · Original link

Have your say

Your comment matters. Councils must consider every representation that raises material planning considerations.

Write a comment