PA/25/01558/NC
Tower Hamlets
Status
Registered
House extension
Received
Not recorded
New homes
0
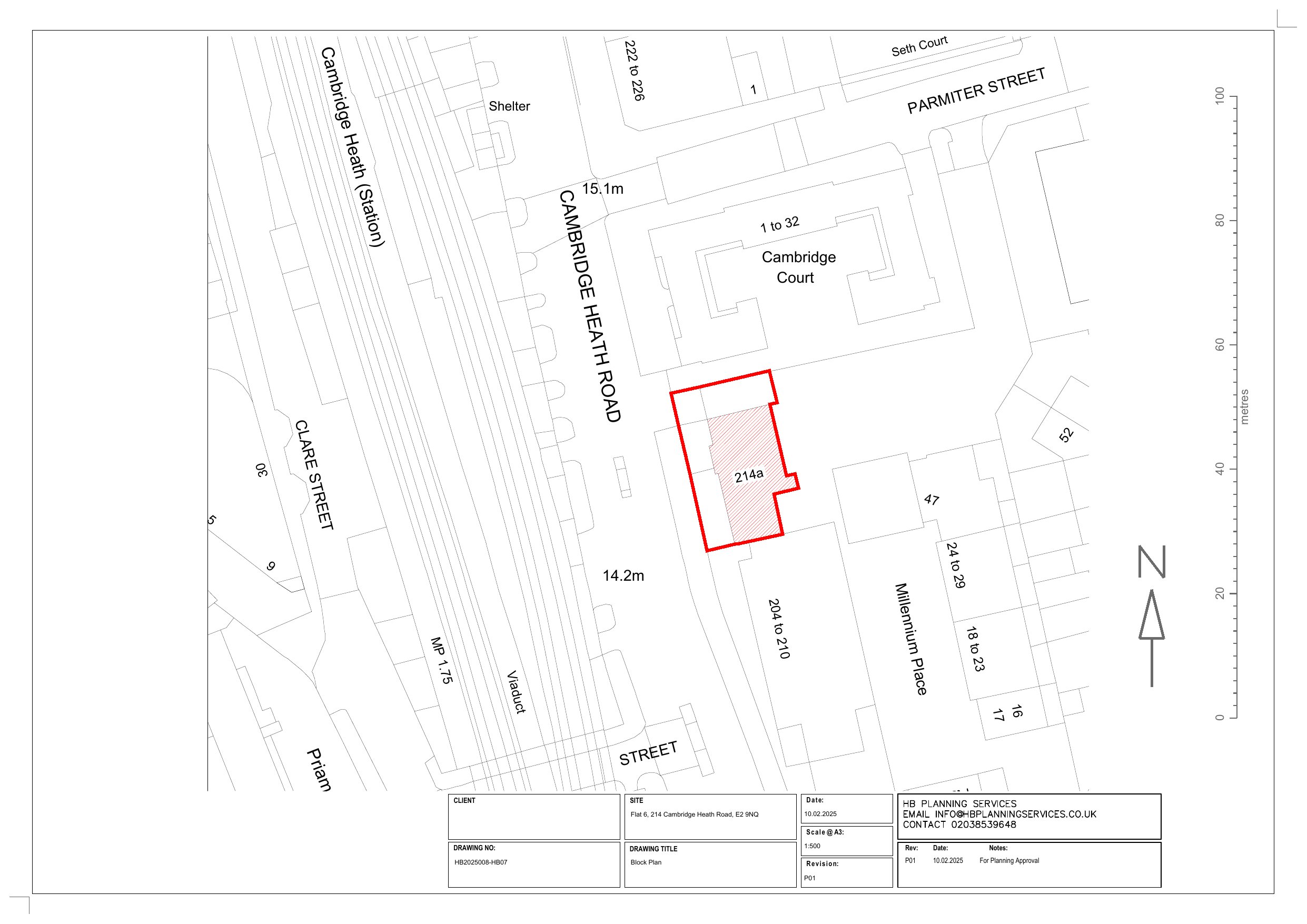
Full proposal
To convert the existing rear roof space of (Flat 6) to a useable, private roof terrace, with the insertion of an access door and balcony railings.
Documents
Have your say
Your comment matters. Councils must consider every representation that raises material planning considerations.