← Wakefield Council

Status

Awaiting decision New housing
Received
13 Dec 2024
New homes
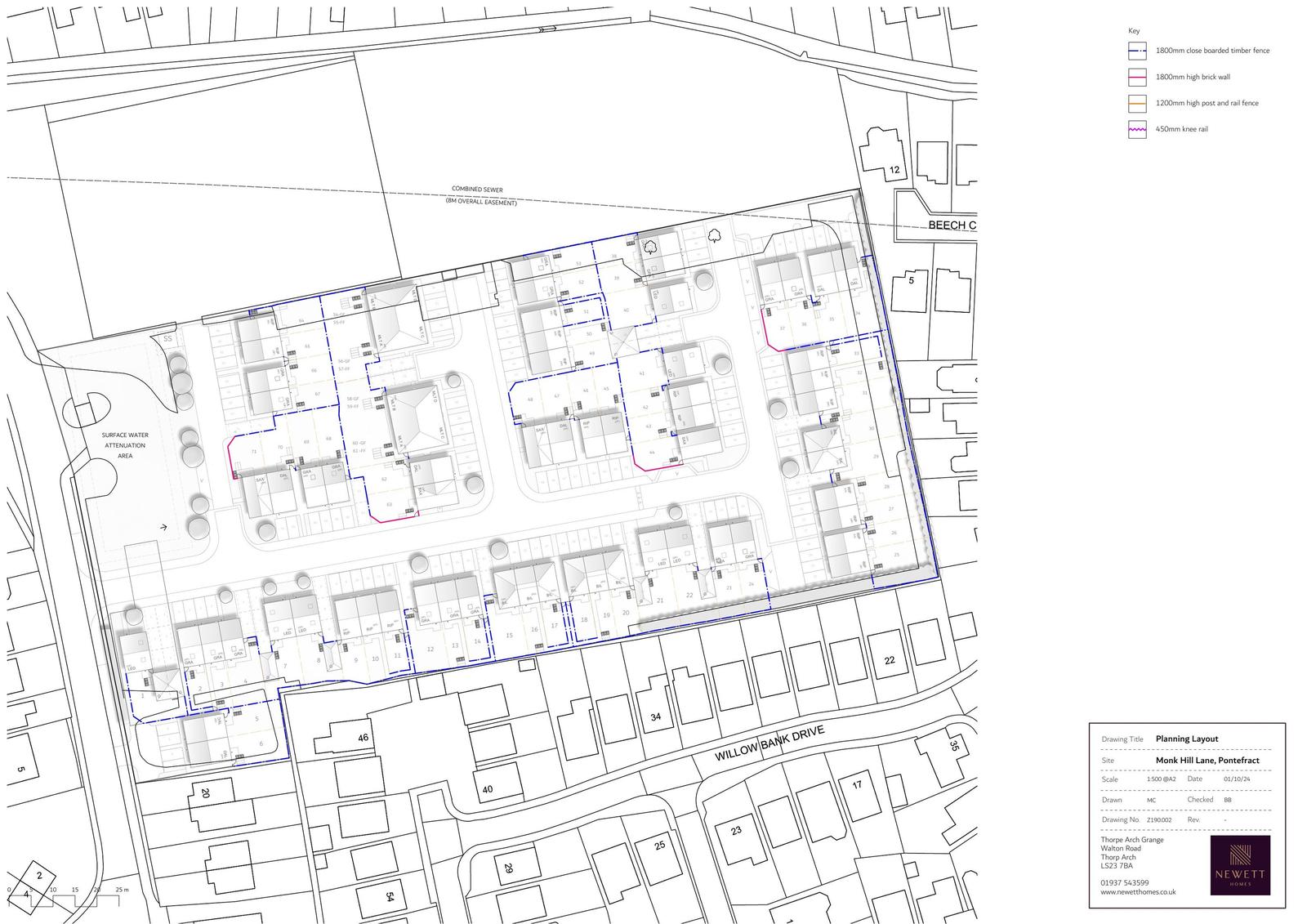
71

Full proposal

Demolition of Existing Gatehouse and the Construction of a Residential Development (Up to 71 Dwellings) with Associated Access, Parking, Public Open Space, Landscaping and Infrastructure

Documents

Air Quality Assessment
Archived · Original link
Application Form
Archived · Original link
Arboricultural Report
Archived · Original link
Arboricultural Report
Archived · Original link
Arboricultural Report
Archived · Original link
Ecological Documentation
Archived · Original link
Ecological Documentation
Archived · Original link
BNG CONDITION ASSESSMENTS
BNG Metric
Not yet archived · Original link
BNG METRIC CALCULATION TOOL
BNG Metric
Not yet archived · Original link
CHILDREN AND YOUNG PEOPLE?S SERVICE
Consultee Comment
Not yet archived · Original link
Correspondence
Archived · Original link
Design and Access Statement
Archived · Original link
Design and Access Statement
Archived · Original link
Drawing
Archived · Original link
Flood Risk/Run Off Impact Assessment
Archived · Original link
Land Quality Documentation
Archived · Original link
Land Quality Documentation
Archived · Original link
Supporting Documentation
Archived · Original link
Consultee Comment
Archived · Original link
Consultee Comment
Archived · Original link
Drawing
Archived · Original link
Drawing
Archived · Original link
Drawing
Archived · Original link
Drawing
Archived · Original link
Drawing
Archived · Original link
Drawing
Archived · Original link
Planning Statement
Archived · Original link
Planning Statement
Archived · Original link
Highways/Transport Documentation
Archived · Original link
Ecological Documentation
Archived · Original link
Ecological Documentation
Archived · Original link
Highways/Transport Documentation
Archived · Original link
Site Notice
Archived · Original link
SPA
Highways/Transport Documentation
Archived · Original link
TPO Officer Consultee Comment
Archived · Original link
Highways/Transport Documentation
Archived · Original link
Highways/Transport Documentation
Archived · Original link
Highways/Transport Documentation
Archived · Original link
Arboricultural Report
Archived · Original link
Arboricultural Report
Archived · Original link
Supporting Documentation
Archived · Original link
Highways/Transport Documentation
Archived · Original link
Consultee Comment
Archived · Original link
Consultee Comment
Archived · Original link
Consultee Comment
Archived · Original link
Consultee Comment
Archived · Original link
Consultee Comment
Archived · Original link
WAKEFIELD COUNCIL STRATEGIC HOUSING
Consultee Comment
Not yet archived · Original link
Consultee Comment
Archived · Original link
Consultee Comment
Archived · Original link

Have your say

Your comment matters. Councils must consider every representation that raises material planning considerations.

Write a comment