← Wakefield Council

Status

Awaiting decision New housing
Received
29 Jan 2026
New homes
2

Full proposal

Demolition of buildings and erection of two detached dwellings and associated works (part retrospective)

Documents

Superseded Document
Archived · Original link
Application Form
Archived · Original link
ASSESSMENT
BNG Metric
Not yet archived · Original link
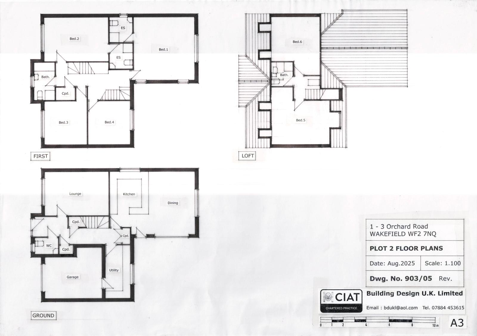
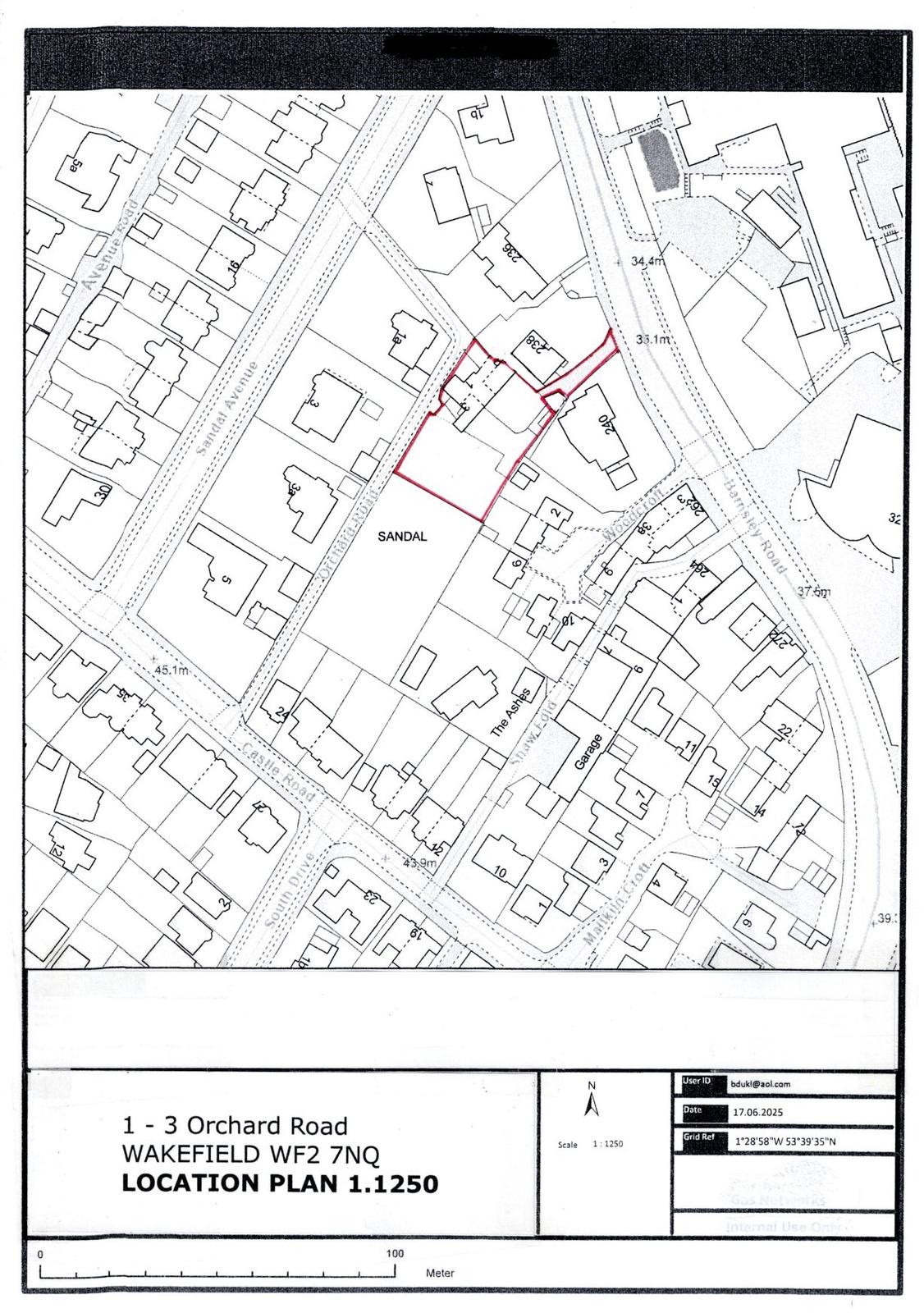
Drawing
Archived · Original link
BNG Metric
BNG Metric
Not yet archived · Original link
Supporting Documentation
Archived · Original link
DISABLED
BNG Metric
Not yet archived · Original link
Ecological Documentation
Archived · Original link
Photos
Archived · Original link
Drawing
Archived · Original link
Drawing
Archived · Original link
Drawing
Archived · Original link
Drawing
Archived · Original link
Drawing
Archived · Original link
Supporting Documentation
Archived · Original link
Supporting Documentation
Archived · Original link
Drawing
Archived · Original link
Supporting Documentation
Archived · Original link

Have your say

Your comment matters. Councils must consider every representation that raises material planning considerations.

Write a comment