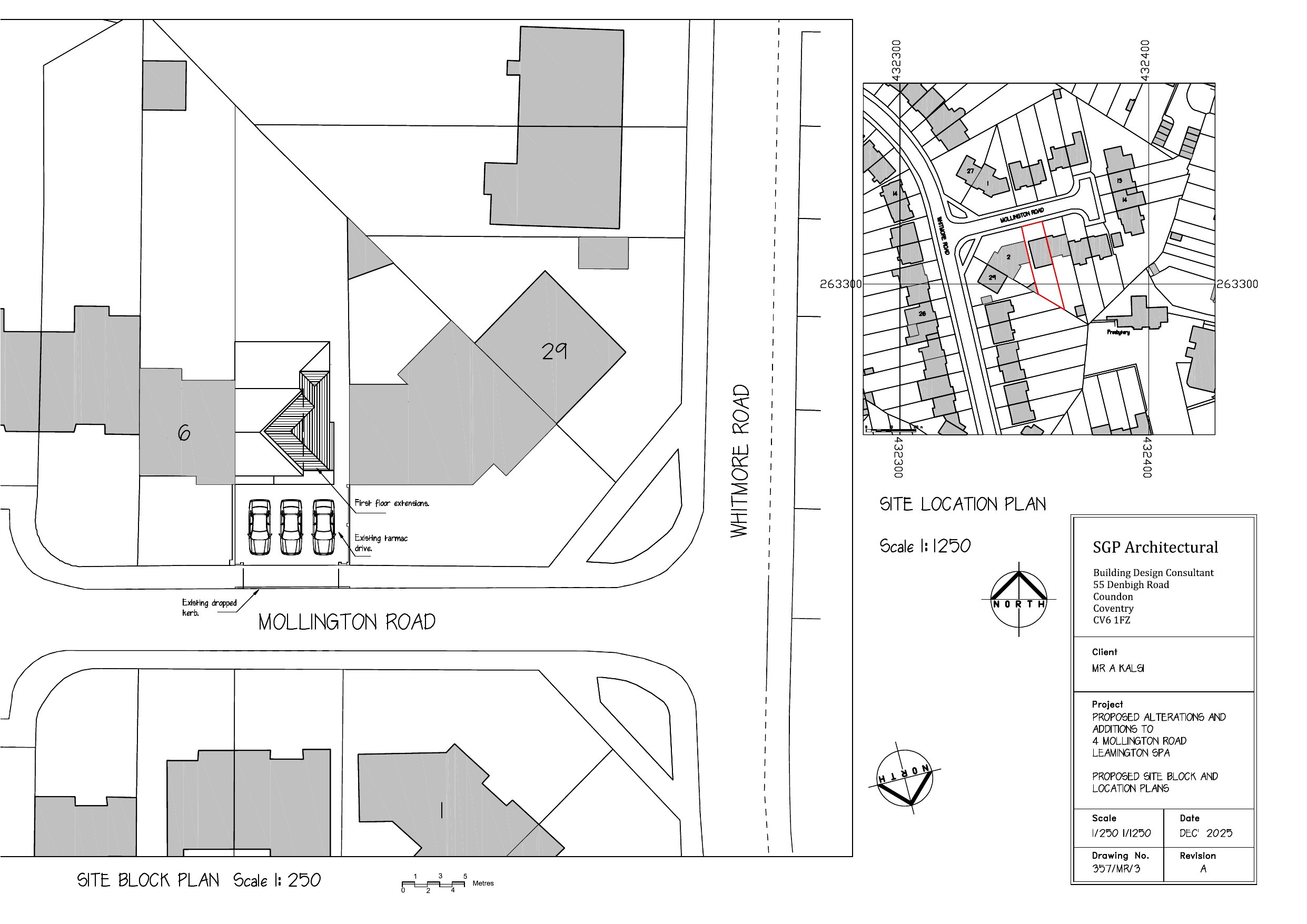
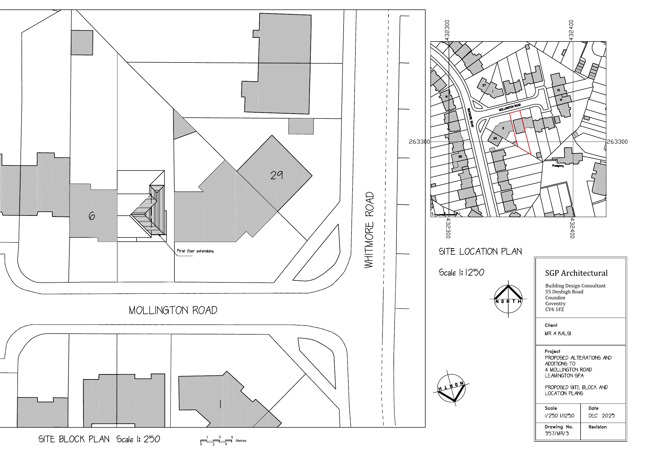
← Warwick District Council

Status

Unknown House extension
Received
11 Dec 2025
New homes
0

Full proposal

Erection of first floor side extension

Documents

Revised Drawing
Archived · Original link
Superseded
Archived · Original link
Revised Drawing
Archived · Original link
Superseded Drawing
Archived · Original link

Have your say

Your comment matters. Councils must consider every representation that raises material planning considerations.

Write a comment