← Woking Borough Council

Status

Awaiting decision Change of use
Received
Not recorded
New homes
1

Full proposal

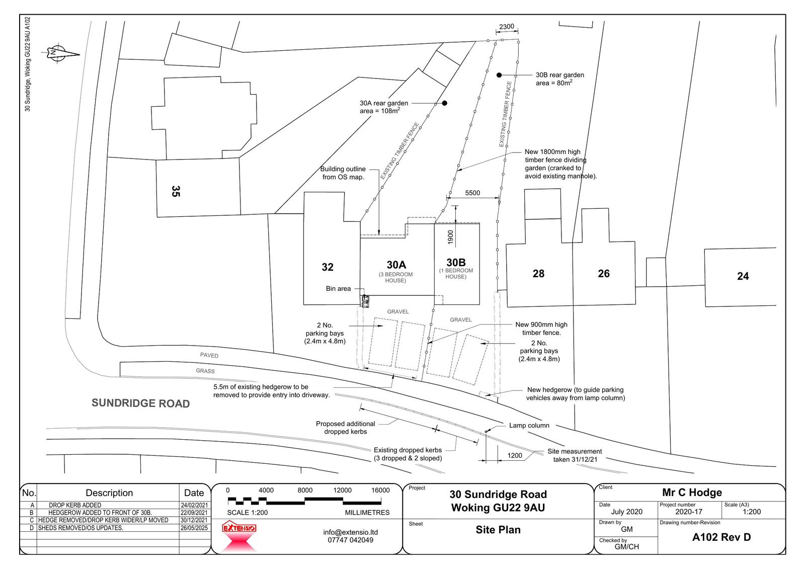
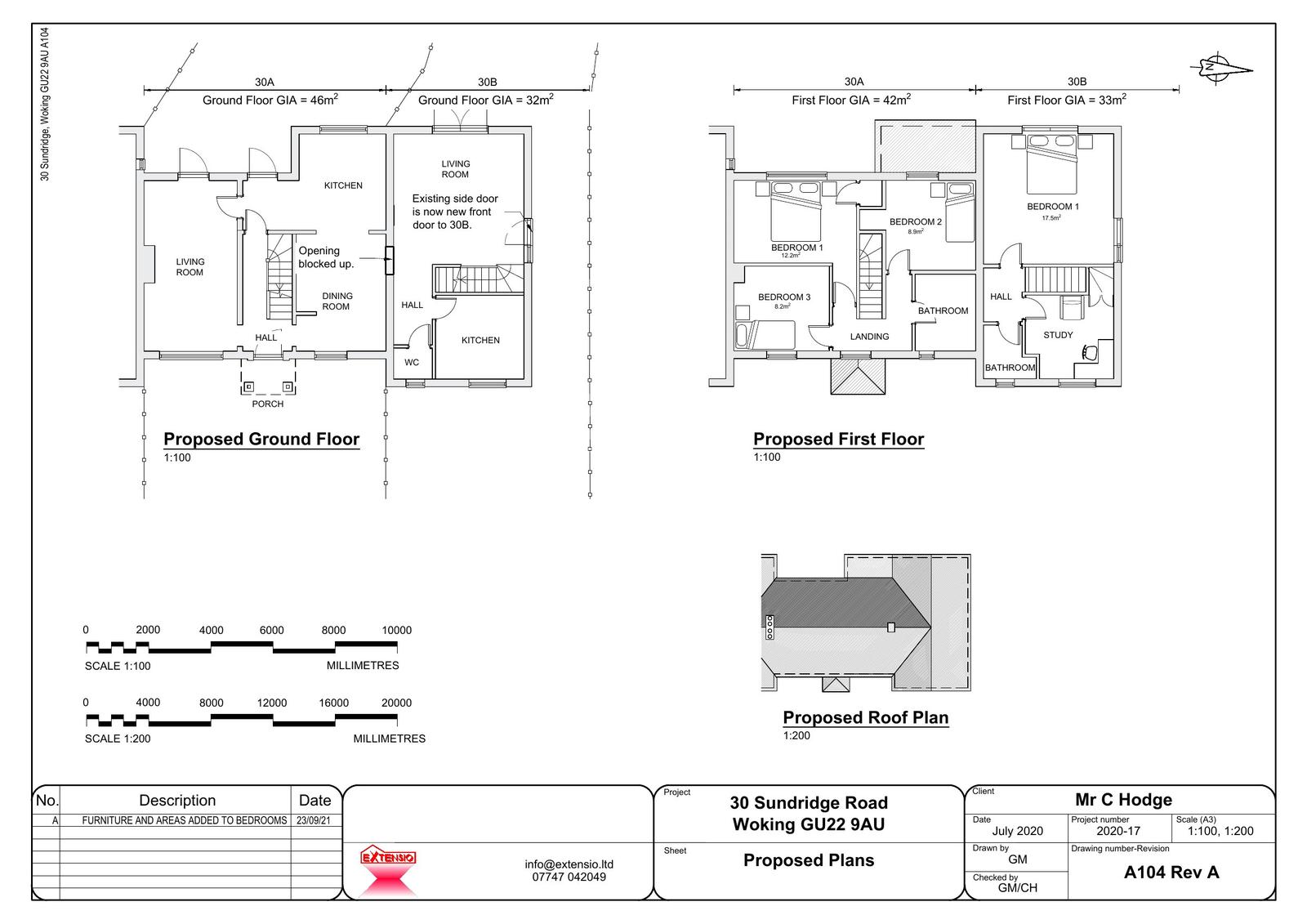
Subdivision of existing dwelling into 2 No. residential units.

Documents

Photo
Archived · Original link
Application Form
Archived · Original link
Application Form
Archived · Original link
Report
Archived · Original link
Plans
Archived · Original link
Plans
Archived · Original link
Plans
Archived · Original link
Plans
Archived · Original link
Plans
Archived · Original link

Have your say

Your comment matters. Councils must consider every representation that raises material planning considerations.

Write a comment