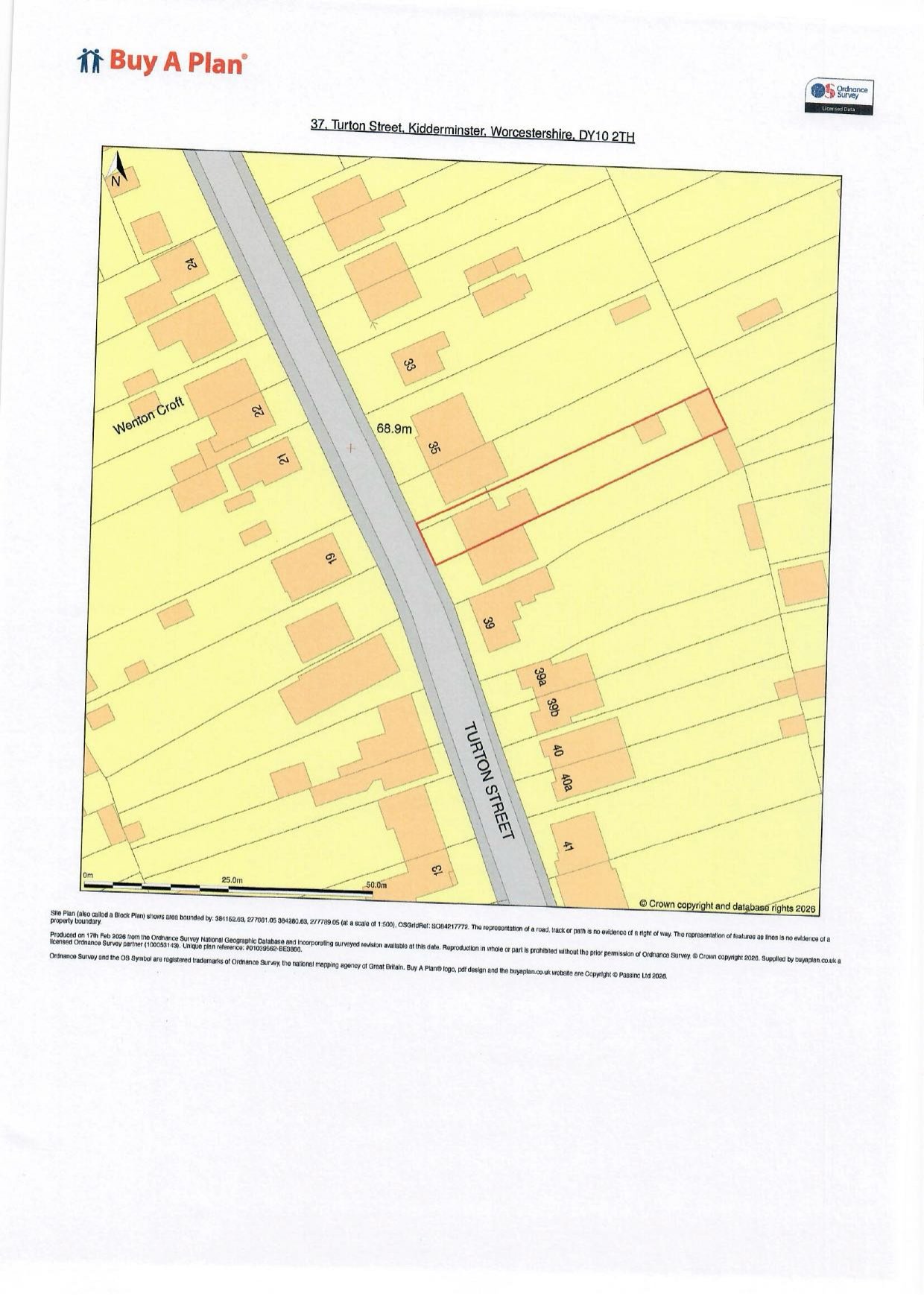
← Wyre Forest District Council
26/0126/FUL
Wyre Forest District Council
Status
Pending consideration
Change of use
Received
Last month
New homes
0
Full proposal
Part change of use of residential garden to commercial dog breeding including erection of dog kennels and whelping pens (retrospective)
Documents
Have your say
Your comment matters. Councils must consider every representation that raises material planning considerations.