← City of York Council

Status

Awaiting decision House extension
Received
Not recorded
New homes
0

Full proposal

Erection of single storey extension extending 4.05 metres beyond the rear wall of the origional house, with a height to the eaves of 2.42 metres and a total height of 3.41 metres

Documents

Application Form
Archived · Original link
Drawing
Archived · Original link
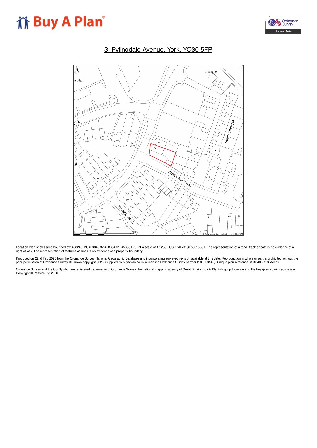
Location Plan
Archived · Original link

Have your say

Your comment matters. Councils must consider every representation that raises material planning considerations.

Write a comment