← Dacorum Borough Council

Status

With planning case officer Change of use
Received
Last month
New homes
2

Full proposal

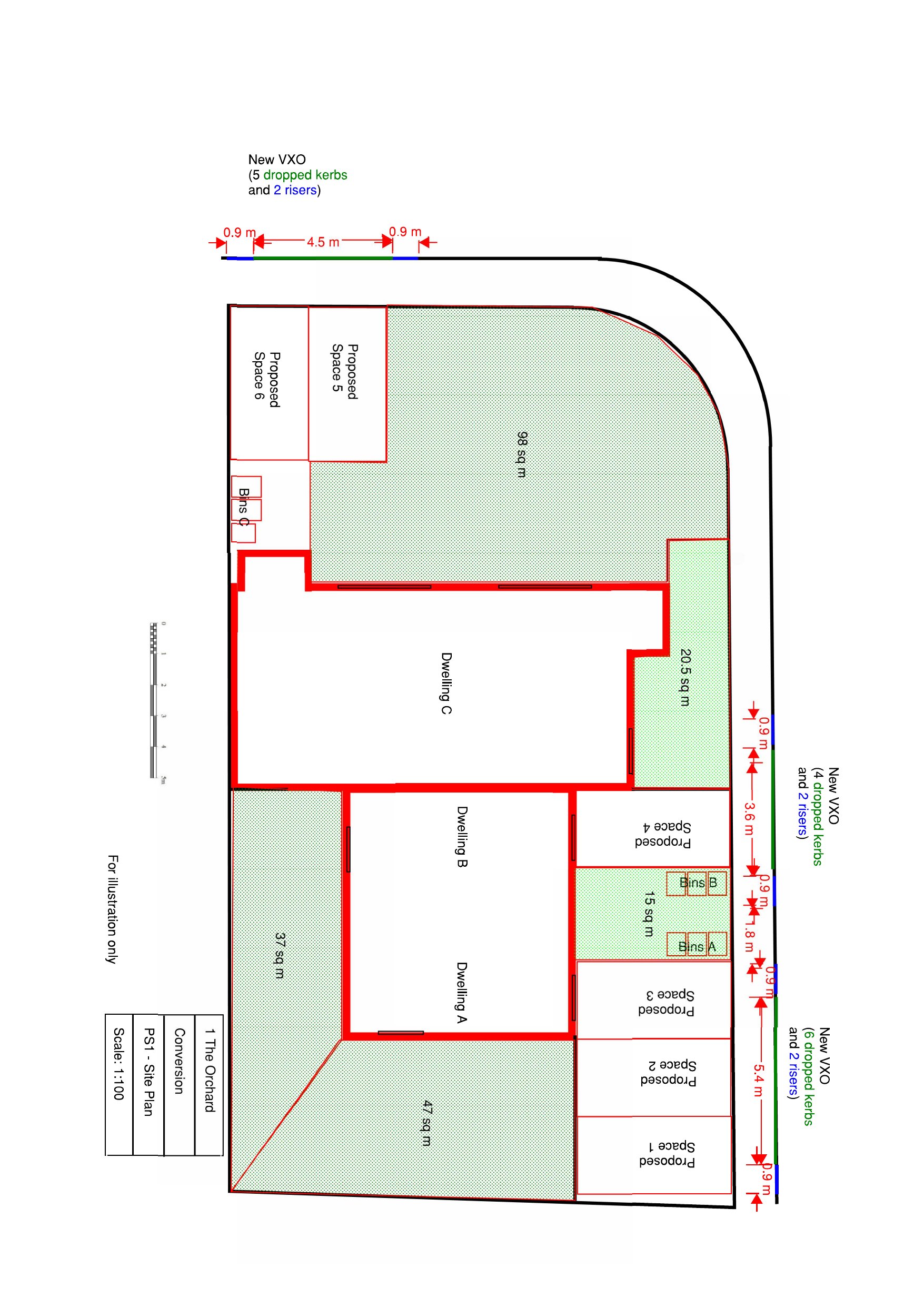
Addition of porch and insertion of 2 doorways. Conversion of dwelling to up to 2 dwellings and an up to 8-bed HMO.

Documents

Application Form
Archived · Original link
Design & Access Statement
Archived · Original link
Existing Elevations
Archived · Original link
Existing Floor Plans
Archived · Original link
Location Plan
Archived · Original link
Proposed Elevation
Archived · Original link
Proposed Floor Plans
Archived · Original link
Proposed Floor Plans
Archived · Original link
Site & Other Plans
Archived · Original link
Additional Plans
Archived · Original link

Have your say

Your comment matters. Councils must consider every representation that raises material planning considerations.

Write a comment