← Gosport Borough Council

Status

Registered Listed building
Received
29 May 2025
New homes
6

Full proposal

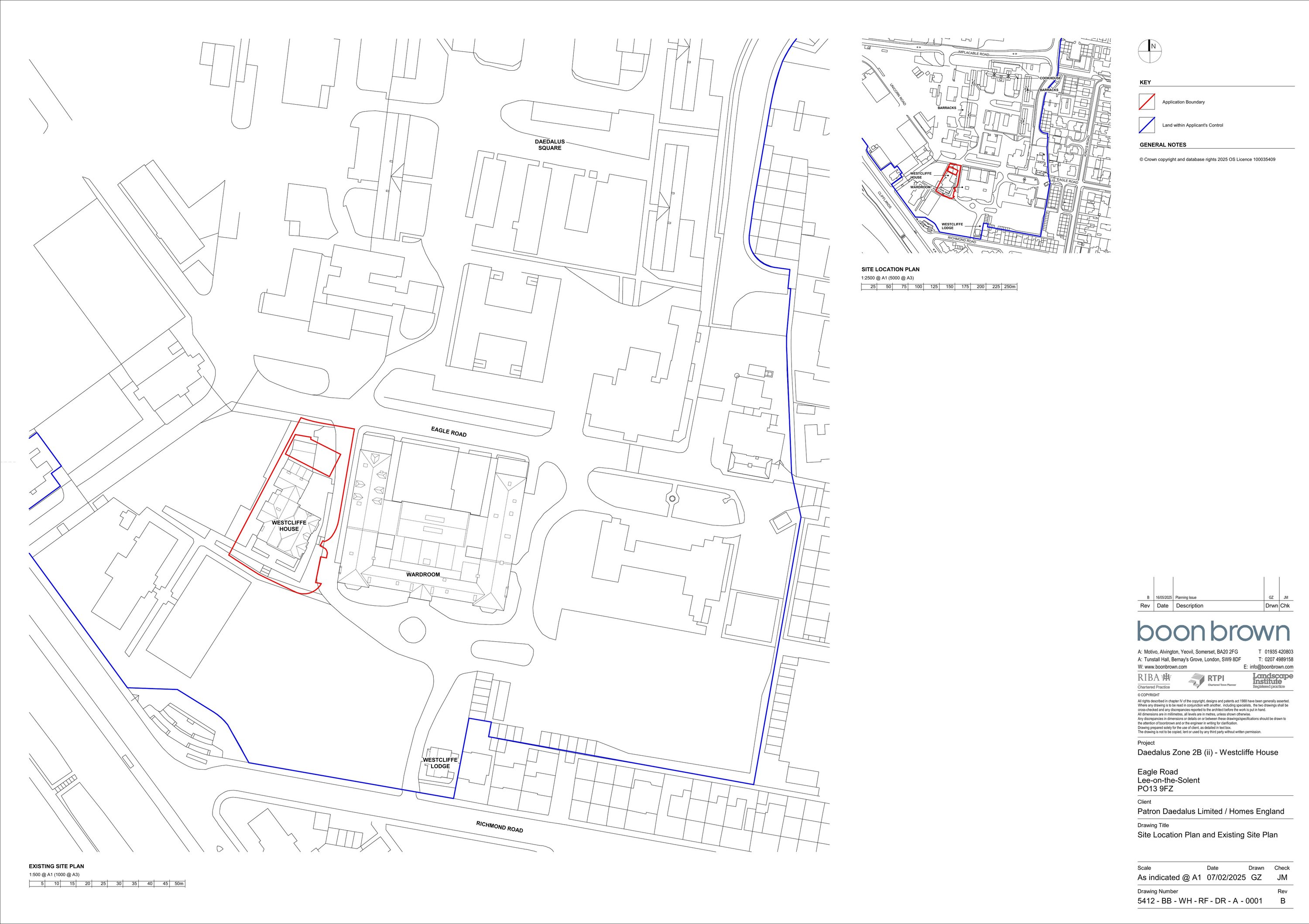
LISTED BUILDING APPLICATION - ALTERATIONS AND REPAIRS TO FACILITATE CONVERSION TO SIX DWELLINGS TO INCLUDE CHANGES TO FENESTRATION, REPLACEMENT STONEWORK, REPLACEMENT ROOF COVERING AND VERTICAL TILES, CHANGES TO INTERNAL LAYOUT, ALTERATIONS TO FLOORS & CEILINGS, INSTALLATION OF INSULATION AND DEMOLITION OF REAR STORES (CONSERVATION AREA)

Documents

APPLICATION FORM - WITHOUT PERSONAL DATA
Application Form
Not yet archived · Original link
BASEMENT & GROUND FLOOR - DEMOLITIONS
Amended Plans
Not yet archived · Original link
BASEMENT & GROUND FLOOR - EXISTING
Amended Plans
Not yet archived · Original link
BASEMENT & GROUND FLOOR PROPOSED
Amended Plans
Not yet archived · Original link
BASEMENT - DETAILED DEMOLITION PLAN
Amended Plans
Not yet archived · Original link
BASEMENT - PROPOSED DETAILED PLAN
Amended Plans
Not yet archived · Original link
COUNTY ARCHAEOLOGIST
Consultee Comment
Not yet archived · Original link
Design and Access Statement
Design and Access Statement
Not yet archived · Original link
DESIGN AND ACCESS STATEMENT ADDENDUM
Supporting Document
Not yet archived · Original link
DRAWING SCHEDULE
Amended Plans
Not yet archived · Original link
EXISTING & PROPOSED NE & NW ELEVATIONS
Amended Plans
Not yet archived · Original link
EXISTING & PROPOSED NE ELVATIONS FROM EAGLE ROAD
Amended Plans
Not yet archived · Original link
EXISTING & PROPOSED SE & SW ELEVATIONS
Amended Plans
Not yet archived · Original link
EXTERNAL DOOR TYPE A
Plans
Not yet archived · Original link
EXTERNAL DOOR TYPE B
Plans
Not yet archived · Original link
FIRST FLOOR & ROOF - DEMOLITIONS
Amended Plans
Not yet archived · Original link
FIRST FLOOR & ROOF PROPOSED
Amended Plans
Not yet archived · Original link
FIRST FLOOR - DETAILED DEMOLITION PLAN (1 OF 2)
Amended Plans
Not yet archived · Original link
FIRST FLOOR - DETAILED DEMOLITION PLAN (2 OF 2)
Amended Plans
Not yet archived · Original link
FIRST FLOOR - PROPOSED DETAIL PLAN (1 OF 2)
Amended Plans
Not yet archived · Original link
FIRST FLOOR - PROPOSED DETAIL PLAN (2 OF 2)
Amended Plans
Not yet archived · Original link
FIRST FLOOR AND ROOF - EXISTING
Plans
Not yet archived · Original link
GOSPORT SOCIETY
Consultee Comment
Not yet archived · Original link
GROUND FLOOR - DETAILED DEMOLITION PLAN (1 OF 2)
Amended Plans
Not yet archived · Original link
GROUND FLOOR - DETAILED DEMOLITION PLAN (2 OF 2)
Amended Plans
Not yet archived · Original link
GROUND FLOOR - PROPOSED DETAIL PLAN (1 OF 2)
Amended Plans
Not yet archived · Original link
GROUND FLOOR - PROPOSED DETAIL PLAN (2 OF 2)
Amended Plans
Not yet archived · Original link
HERITAGE STATEMENT
Supporting Document
Not yet archived · Original link
HISTORIC BUILDING RECORD
Supporting Document
Not yet archived · Original link
HISTORIC ENGLAND
Consultee Comment
Not yet archived · Original link
LEE RESIDENTS ASSOCIATION
Public Comment
Not yet archived · Original link
Amended Plans
Archived · Original link
SASH WINDOWS TYPE A
Amended Plans
Not yet archived · Original link
SASH WINDOWS TYPE B
Amended Plans
Not yet archived · Original link
SECTION AA-BB
Plans
Not yet archived · Original link
SUPERSEDED BASEMENT AND GROUND FLOOR - DEMOLITIONS
Plans
Not yet archived · Original link
SUPERSEDED BASEMENT AND GROUND FLOOR - EXISTING
Plans
Not yet archived · Original link
SUPERSEDED BASEMENT AND GROUND FLOOR - PROPOSED
Plans
Not yet archived · Original link
SUPERSEDED EXISTING & PROPOSED NE & NW ELEVATIONS
Plans
Not yet archived · Original link
SUPERSEDED EXISTING & PROPOSED SE & SW ELEVATION
Plans
Not yet archived · Original link
SUPERSEDED FIRST FLOOR AND ROOF - DEMOLITIONS
Plans
Not yet archived · Original link
SUPERSEDED FIRST FLOOR AND ROOF - PROPOSED
Plans
Not yet archived · Original link
SUPERSEDED SASH WINDOW TYPE A
Plans
Not yet archived · Original link
SUPERSEDED SASH WINDOW TYPE B
Plans
Not yet archived · Original link
THE VICTORIAN SOCIETY
Consultee Comment
Not yet archived · Original link
TOWN PLANNING STATEMENT
Supporting Document
Not yet archived · Original link
TYPICAL CONSTRUCTION BUILD-UPS
Plans
Not yet archived · Original link
TYPICAL CONSTRUCTION BUILD-UPS SHEET 1
Amended Plans
Not yet archived · Original link
TYPICAL SECTION DETAILS (1 OF 3)
Amended Plans
Not yet archived · Original link
TYPICAL SECTION DETAILS (2 OF 3)
Amended Plans
Not yet archived · Original link
TYPICAL SECTION DETAILS (3 OF 3)
Amended Plans
Not yet archived · Original link

Have your say

Your comment matters. Councils must consider every representation that raises material planning considerations.

Write a comment