← Gosport Borough Council

Status

Registered New housing
Received
Last month
New homes
1

Full proposal

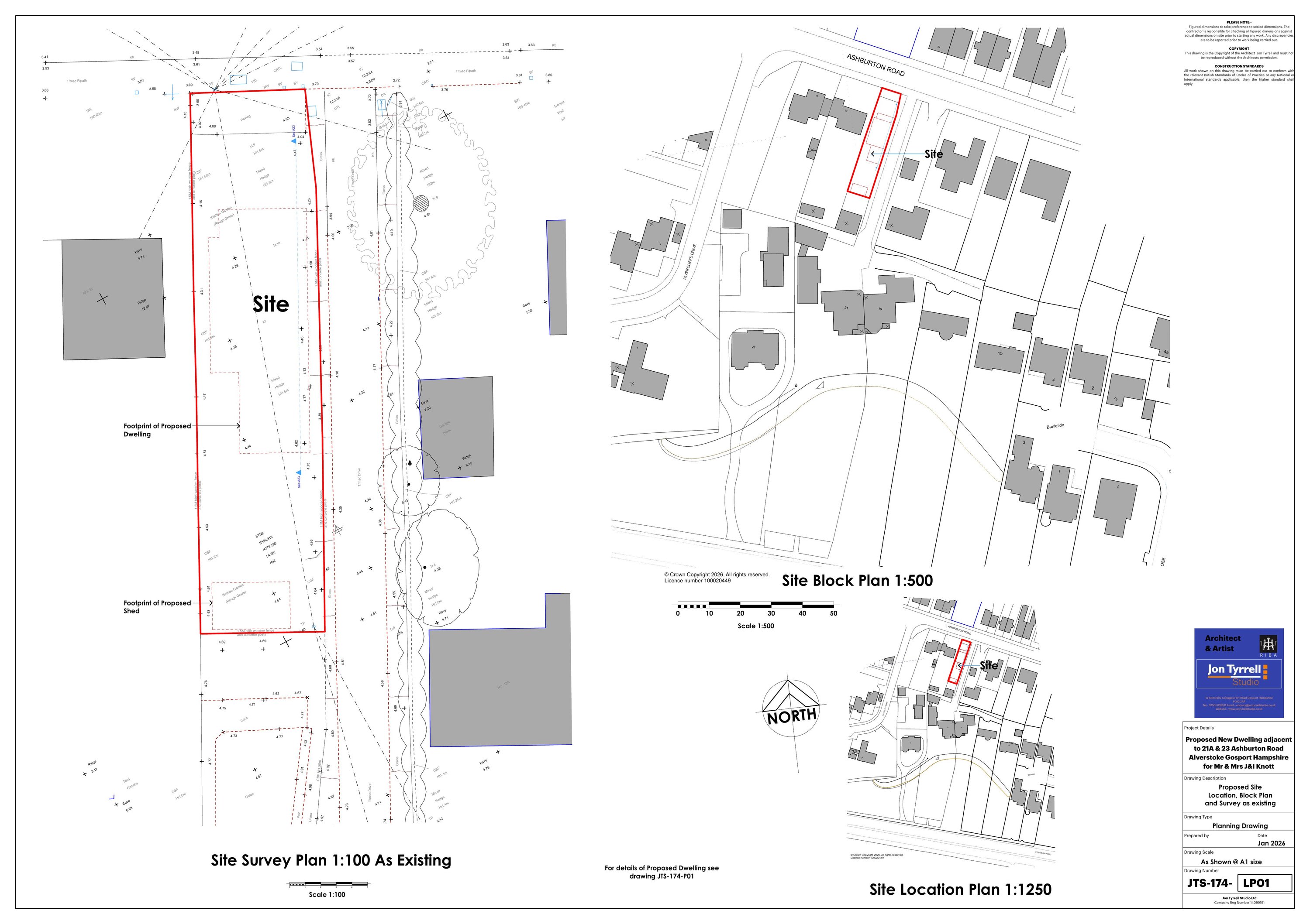
ERECTION OF DETACHED DWELLING (CONSERVATION AREA)

Documents

Supporting Document
Archived · Original link
Consultee Comment
Archived · Original link
Design and Access Statement
Archived · Original link
Supporting Document
Archived · Original link
Consultee Comment
Archived · Original link
Consultee Comment
Archived · Original link
NUTRIENT MITIGATION CREDIT CERTIFICATE
Supporting Document
Not yet archived · Original link

Have your say

Your comment matters. Councils must consider every representation that raises material planning considerations.

Write a comment